|
МЕХАНИЗМЫ КОНЦЕНТРИРОВАНИЯ ЭЛЕМЕНТОВ ПЛАТИНОВОЙ ГРУППЫ В РАССЛОЕННЫХ
ИНТРУЗИВАХ КАРЕЛО-КОЛЬСКОГО РЕГИОНА
©1998г. Е. В. Шарков, О. А. Богатиков
На примере раннепалеопротерозойских (2.5-2.44 млрд. лет) расслоенных
интрузивов Балтийского щита (Мончетундровского, Луккулайсваара,
Бураковского и др.) с привлечением материалов по классическим расслоенным
интрузивам других регионов, а также по офиолитовым ассоциациям рассмотрены
петрологические аспекты формирования магматических месторождений
элементов платиновой группы (ЭПГ). Проведенные исследования показали,
что формирование концентраций ЭПГ в интрузивах было многостадийным
- от собственно магматической стадии до низкотемпературных метасоматических
процессов. При этом главным из них, по-видимому, являлся магматический
этап, определявший первичное накопление ЭПГ в определенных участках
массивов.
Из-за невысоких содержаний ЭПГ в исходных палеобонинитовых
расплавах фракционная кристаллизация не являлась рудообразующим
фактором. Судя по имеющимся данным, наиболее важную роль здесь играли
дополнительные внедрения новых порций расплавов в затвердевающие
камеры плутонов, причем только те, что были обогащены водносолевыми
S-содержащими флюидными компонентами и ЭПГ. Как те, так и другие,
по-видимому, извлекались из соответствующих пород коры (видимо,
супракрустальных комплексов) в процессе их ассимиляции при подъеме
промежуточных магматических очагов; параллельно расплав обогащался
Bi, Те, As, Sb, Sn, Та, Те и др., извлеченными из коровых гранитоидов.
Последние образуют легкорастворимые соединения с этими флюидными
компонентами и ЭПГ и мигрируют вместе с ними на всех стадиях рудообразования.
При этом флюидные компоненты играли важную роль в транспортировке
ЭПГ, а "гранитоидные" - в их фиксации в породах. Сделан
вывод о важной роли коровых субстратов на участках развития подобных
магматических систем: при отсутствии в них супракрустальных комплексов,
содержащих данные компоненты, интрузивы являются безрудными.
На магматической стадии растворенные в магме флюидные
компоненты извлекали ЭПГ из расплава и переоткладывали их на физических
барьерах - вдоль охлаждающихся поверхностей (зоны кристаллизации
и эндоконтакты тел). Ведущим механизмом процесса рудообразования,
по-видимому, была термодиффузия в условиях низких температурных
градиентов, когда скорости диффузии тепла и вещества максимально
сближены. После затвердевания, в интрузивах имели место разнообразные
метасо магические процессы, проходившие в широком интервале температур
также при участии водносолевых флюидов, которые производили перераспределение
и вторичное концентрированно ЭПГ.
Развитие магматических систем офиолитовых ассоциаций
в известной мере моделировало развитие раннепалеопротерозойских
магматических систем. Первичное фракционирование ЭПГ имело место
еще на стадии плавления. И там, и здесь в разрезе магматических
камер, где происходило накопление новообразованных расплавов (расслоенные
комплексы офиолитов и крупные расслоенные интрузивы), наблюдается
постепенный переход от продуктов кристаллизации наиболее высокотемпературных
ТЭПГ-содержащих мантийных выплавок к продуктам кристаллизации магм
корово-мантийного происхождения с ЛЭПГ-минерализацией с преобладанием
Pd в сравнительно низкотемпературных дифференциатах.
ВВЕДЕНИЕ
Раннепротерозойские расслоенные интрузивы, возникшие
при кристаллизации кремнеземистых высокомагнезиальных (бонинитоподобных)
расплавов, продолжают оставаться одним из главных источников ЭПГ.
Вместе с тем выясняется, что повышенные содержания ЭПГ в этих расплавах
только создают благоприятный фон для появления месторождений, но
недостаточны для формирования последних в процессе внутрикамерной
кристаллизационной дифференциации, как предполагалось ранее. Более
того, современные петрологические, геохимические и изотопные данные
свидетельствуют о том, что интрузивные камеры расслоенных плутонов
представляли собой открытые системы, периодически подпитывавшиеся
новыми порциями свежих расплавов, и именно с этими дополнительными
внедрениями связано появление платиноносных рифов. Однако при этом
остаются неясными конкретные механизмы, ответственные за концентрирование
ЭПГ в породах на магматической стадии. Наряду с этим выявляется
важная роль разнообразных метасоматических процессов, протекавших
в широком интервале температур и приводивших к частичному перераспределению
ЭПГ. Все это делает проблему оценки платиноносности интрузивов достаточно
сложной и неоднозначной. При анализе проблемы оказалась полезной
информация, полученная при изучении офиолитовых ассоциаций, которые
характеризуются рядом особенностей, существенных для понимания поведения
ЭПГ в магматических и постмагматических процессах.
Данная работа посвящена обсуждению конкретных механизмов
концентрирования ЭПГ в расслоенных интрузивах главным образом на
примерах изученных нами массивов Карело-Кольского региона (Мончетундровского,
Бураковского, Луккулайсваара и др.).
МЕСТОРОЖДЕНИЯ ЭПГ
В РАССЛОЕННЫХ ИНТРУЗИВАХ,
ФОРМИРУЮЩИЕСЯ НА МАГМАТИЧЕСКОЙ СТАДИИ
Как известно, большинство платиноносных расслоенных
интрузивов формировалось на всех докембрийских щитах в раннем палеопротерозое
(2.5-2.2 млрд. лет назад). Они являются составной частью огромных
магматических провинций специфической для этого времени кремнеземистой
высокомагнезиальной (бонинитоподобной) серии. Одна из таких провинций
- это восточная часть Балтийского щита, где развито более 30 крупных
расслоенных интрузивов основных и ультраосновных пород с возрастом
от 2.5 до 2.44 млрд. лет (Alapieti et al., 1990; Amelin, Semenov,
1996; Amelin et al., 1995; Шарков и др., 19972). Примером их на
Кольском полуострове являются интрузивы Мончетундры, Панских-Федоровых
тундр, горы Генеральской и др.; на территории Карелии - Олангской
группы (Ципринга, Луккулайсваара, Кивакка) и Бураковский; и в Финляндии
— Пеникат, комплексов Портимо и Койлисма (Суете-Нярянкяваара) и
др. (фиг. 1).
Размеры таких интрузивов обычно составляют десятки-сотни
квадратных километров при мощности 3-5 км. Как правило, они подверглись
переработке в процессе последующих тектонических процессов и часто
представляют собой блоки, рассланцованные и метаморфизованные по
краям. Вместе с тем во многих случаях сохраняются первичные зоны
закалки, обычно представленные магнезиальными меланократовыми габброноритами
и пироксенитами (таблица), вероятно, отвечающими составу их исходных
расплавов.
Для большинства этих интрузивов характерно преобладание
в нижней части разреза преимущественно кумулятов ультраосновного
(01 ± Crt, 01 + Opt ± Crt, Opx + Срх ± Crt)1, а в средней - основного
(Орх + Р1 ± Crt, Opx + Срх + Р1 ± 01, PI, PI + + Pig + Aug) состава.
В верхних частях разрезов г развиты габбронориты и габбродиориты,
обогащенные V-содержащим магнетитом (Р1 + Pig + + Pig — Aug + Mgt),
а иногда и гранофиры. Месторождения ЭПГ в них, как и в большинстве
других расслоенных массивов, связаны в основном с платиноносными
рифами в так называемых критических зонах и с краевыми участками
интрузивов.
Платиноносные рифы
В настоящее время под критическими зонами понимаются
участки расслоенных интрузивов, характеризующиеся сложным строением,
нередко содержащие прослои, обогащенные сульфидной вкрапленностью
и содержащие повышенные концентрации ЭПГ; они обычно расположены
в зоне перехода от ультрамафических к баритовым частям их разрезов,
хотя иногда располагаются и стратиграфически выше. Критические зоны
весьма разнообразны, но общая их особенность - это весьма сложное
строение, неравномерность текстур и структур пород и многочисленные
нарушения расслоенности — наличие многочисленных следов оползания,
размыва кумулатов, автобрекчий и т.д.
В изученных нами интрузивах можно выделить два
типа платиноносных рифов, связанных с критическими зонами: 1) выдержанные
тонкие прослои обогащенных сульфидами и МПГ ультрамафических кумулатов
среди более низкотемпературных образований и 2) более мощные горизонты
неравномернозернистых, преимущественно грубозернистых пород со шлирами
и гнездами сульфидов и МПГ.
Платиноносные рифы первого типа устанавливаются
в Мончегорском плутоне и Бураковском интрузиве; по своему строению
и минерализации они близки к классическим примерам Бушвельдского
(ЮАР) и Стиллуотерского (США) массивов, которые будут охарактеризованы
ниже.
Мончегорский плутон (фиг. 2) с возрастом около
2.5 млрд. лет расположен в центральной части Кольского полуострова,
прорывая образования позднего архея. Как показали детальные петрологические
и изотопно-геохимические исследования (Шарков, 1980), он представляет
собой нижнюю часть разреза огромного Мончетун дровского расслоенного
интрузива. Собственно Мончегорский плутон образован ритмичным переел
аиванием ультраосновных и основных пород: дунитов, гарцбургитов,
бронзититов, норитов, и имеет мощность около 1.5 км.
Здесь и далее: 01 - оливин, Орх - ортопироксен,
Срх - клинопироксен, Aug - авгит. Pig - пижонит, Pig-Aug - пижонит-авгит,
Р1 - плагиоклаз, ВЫ - роговая обманка, Bt - биотит, РЫ - флогопит,
Mgt - магнетит, Crt - хромит. Ар -апатит, Qtz - кварц, Ру - пирит.
Сер - халькопирит, Ро - пирротин, Рп - пентландит, Сс - халькозин,
Вп - борнит.

Фиг. 1. Размещение раннепалеопротерозойских расслоенных
интрузивов на территории Балтийского щита. 1 - архейский фундамент;
2 - вулканогенно-осадочные образования раннего палеопротерозоя;
3 - расслоенные интрузивы раннего палеопротерозоя (Б - Бураковский,
Кем - Кеми, К - Койтилайнен, Ол — Олангской группы, Пе - Пени-кат,
То - Торнио, Г - горы Генеральской, Ко - Койлисмаа, Мо - Мончетундровский,
Па - Панский, По - Портимо, Ф - Федоровотундровский); 4 - Лапландско-Умбинский
гранулитовый пояс умеренных давлений (ЛУГП) (ПУБ - Порьегубско-Умбинский
блок); 5 - Беломорский подвижный пояс (БПП); 6 - позднепалеопротерозойский
Главный Лапланский шов; 7 - главные надвиги; 8 - главные разломы.
В восточной части Мончегорского плутона наблюдаются
многочисленные секущие тела микробронзититов, микроноритов и микрогабброноритов
("критический горизонт" г. Нюд). При этом наиболее ранние
из них характеризуются высокой магнезиальностью, а наиболее поздние
— глиноземистостью (таблица), что согласуется с положением соответствующих
кумулатов в разрезе интрузива. Эти тела иногда содержат как ксенолиты
вмещающих кумулатов, так и подстилающих плутон пород (ороговикованных
кордиеритовых гнейсов) и, по-видимому, являлись подводящими каналами
внедрений новых порций расплава в кристаллизующуюся интрузивную
камеру.
Вероятно, с одним из подобных внедрений было связано
появление в Мончегорском плутоне своеобразного рифа ("перидотитового",
или "рудного пласта") г. Сопча, расположенной непосредственно
к западу от г. Нюд. Он представляет собой 2—3-метровый согласный
прослой тонкорасслоенных перидотитовых кумулятов с богатой вкрапленностью
Cu-Ni-сульфидов и ЭПГ-минерализацией в верхней части разреза мощного
(-700 м) макрослоя однородных ортопироксеновых кумулатов (фиг. 2).
В верхней части пласта наблюдается маломощный (20—30 см) горизонт
грубозернистых ортопироксенитов, переходящих выше в обычные среднезернистые
бронзититы. Для "перидотитового" пласта характерно наличие
текстур оползания и появление эруптивных брекчий вдоль его подошвы,
где угловатые фрагменты перидотитов цементируются вмещающими ортопироксенитами.
Местами в нем наблюдаются довольно крупные оползневые структуры
(фиг. 3), напоминающие так называемые потолы (potholes) в рифе Меренского
в Бушвельде.
Типичные составы эндоконтактовых
зон раннепалеопротерозойских расслоенных интрузивов,
микрогабброидов, их дополнительных интрузивных фаз и даек

Примечания. 1 - зона закалки Мончегорского плутона; 2 - эндоконтактовые
габброиды массива Монче-Чуна-Вольчих Тундр; 3 - микрогаббронорит
из "критического горизонта" г. Нюд, Мончегорский плутон;
4 - микрогаббронориты дополнительной интрузивной фазы массива Луккулайсваара;
5 - то же, средее из 19 анализов; 6 - эндоконтактовый габбронорит
Пежостровского анортозитового массива друзитового комплекса; 7 -
ксенолит гиперстенового порфирита в этих габброноритах; 8 - эндоконтактовый
габбронорит друзитового массива из Малых Сальных Тундр, Кольский
п-ов; 9 - метагаббронорит из дайки Центрально-Кольского района;
10 - то же, Печенгский район. * - суммарное железо как FeO. Анализ
1 выполнен в химической лаборатории ИГЕМ РАН, аналитики Г.Ф. Егорова
и С.И. Вронская, анализы 2, 3, 4, 6, 7 - аналитик Н.В. Королев,
анализы 9 и 10 - данные В.Ф. Смолькина и др., 1995.
Очевидно, появление такого горизонта высокотемпературных
кумулатов среди более низкотемпературных образований не может быть
объяснено процессами кристаллизационной дифференциации в камере
плутона. Однако его естественно ожидать в случае внедрения новой
порции плотного высокомагнезиального расплава (типа исходного для
ранних микрогабброидов г. Нюд) в кристаллизующуюся интрузивную камеру.
В этом случае свежий расплав должен был растекаться по дну камеры,
образуя самостоятельный слой более плотной жидкости и оттесняя старый
расплав наверх (фиг. 4).

Фиг. 2. Субширотный разрез Мончегорского плутона
(а) и г. Ниттис (б).
1 - образования Кольской серии архея; 2 - зона
закалки; 3 - Ol-Crt-кумулаты; 4 - ритмичное переслаивание 01-Crt-,
01-Opx-Crt- и Орх- кумулатов; 5 - Орх-кумулаты, 6 - Opx-Pl-кумулаты;
7 - четвертичные отложения; 8 - разломы.
Поскольку дно магматической камеры в затвердевающем
интрузиве представляет собой движущийся снизу вверх фронт начала
затвердевания (Шарков, 1980), то этот новый расплав сразу же вовлекался
в процесс кристаллизации. Судя по малой мощности "пласта"
и быстрому возвращению тренда кристаллизации в исходную позицию,
объем такой порции был невелик.
В целом для Мончегорского плутона характерны низкие
концентрации ЭПГ: в дунитах от 0.001 до 0.01 г/т (Pd/Pt < 1),
в перидотитах, оливиновых пироксенитах и пироксенитах от 0.01 до
0.04 г/т (Pd/Pt >1), а в сульфид содержащих норитах и габброноритах
от 0.01 до 0.4 г/т. В отличие от вмещающих кумулатов содержания
ЭПГ в породах "перидотитового пласта" значительно выше
- они относительно постоянны (1.77 г/т) и только в верхних грубозернистых
бронзититах концентрации возрастают от 2.38 до 7.97 г/т (Pd/Pt =8.8-18.8).
Микрогабброиды г. Нюд в среднем содержат 1.2 г/т ЭПГ, хотя в сульфид
содержащих тонкозернистых пироксенитах и габброноритах концентрация
ЭПГ - 1.82-12.15 г/т (Pd ^> Pt). Четкой позитивной корреляции
ЭПГ с содержаниями Си, Ni и Сг не наблюдается, как и корреляции
с типом пород. Из этого следует, что ЭПГ не концентрировались в
сульфидной фазе, а выделялись как дискретные фазы (Grokhovskaya
et al., 1995).
Минералы платиновой группы (МПГ) везде присутствует
в качестве интеркумулусных фаз совместно с гидроксилсодержащими
силикатами и сульфидами. МПГ представлены висмутидами и теллуридами
платины и палладия, проявляющи ми широкий изоморфизм: майчнерит
(PdTeBi), мончеит [(Pt, Pd)(Te, Bi)^], котульскит [(Pd(Te,Bi,Pb)],
фрудит [Pd(Bi, ТеЦ меренскиит [Pd(Te, Bi)] и Pt-меренскиит. Сперрилит
(PtAs^), сопчеит (Pd3Ag4Te4), куперит (PtS), брэггит [(Pt, Pd, Ni)S],
высотскит (PdS) и Аи- и Ag-содержащие минералы (хессеит, электрум
и самородное золото) менее обычны.

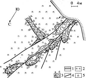
Фиг. 3. Схема строения одного из участков "рудного
пласта" Сопчи.
1 - граница с четвертичными отложениями; 2 - брон-зититы;
3 - образования "рудного пласта": а - тонкое (сантиметровое)
чередование дунитов и гарцбургитов с богатой вкрапленностью Cu-Ni-сульфидов,
б - дуниты основания "пласта"; 4 - разломы; 5 - эруптивные
автобрекчии (угловатые фр бронзитовых кумулатах).
Фиг. 4. Схема внедрения новой порции плотного
расплава в кристаллизующуюся магматическую камеру
при формировании рифа ("рудного пласта") Сопчи, Мончегорский
плутон.
1 - новая порция свежего плотного расплава; 2
- старый расплав в камере плутона; 3 - зона кристаллизации;.4 -
орто-пироксеновые кумулаты; 5 — оливин-ортопироксеновые кумулаты;
6 — образования зоны закалки; 7 — вмещающие породы Кольской серии.
Месторождения рифа Меренского (Бушвельд) и рифа
J—M (Стиллуотер) по характеру процесса, по-видимому, близки к этому
типу. Риф Меренского расположен в верхней части Критической зоны
и представляет собой пачку тонкого переслаивания норитов, пироксенитов,
хромититов и анортозитов мощностью 1-5 м, где ведущую роль играют
грубозернистые плагиоклазовые бронзититы (собственно риф) (Вагнер,
1932). Обращает на себя внимание, что такой же по составу и строению
риф Бастард, расположенный несколько выше рифа Меренского, практически
не содержит ЭПГ. Особенность строения рифа — наличие в нем необычных
синмагматических просадочных структур - "потол", диаметром
10-200 м, иногда до 1 км, и глубиной от нескольких до десятков метров,
с которыми часто связано повышенное содержание сульфидов и ЭПГ (Gold
et al., 1985; Can etal., 1994). С потопами обычно ассоциируют линзообразные
тела габбро-пегматитов. В потолах графит наблюдается значительно
чаще чем в самом рифе, а в их районе устанавливается низкий редокспотенциал
(Naldrett et al., 1987). Предполагается, такие просадки возникали
на месте разгрузки восстановленных флюидов на дне магматической
камеры над формирующимися метасоматическими трубками гортонолитовых
дунитов, характерных для Критической зоны (Gold etal.,19S5).
В породах рифа Меренского присутствуют хромит,
коричневая роговая обманка, хлорсодержащий флогопит, хлорапатит,
графит, небольшие сегрегации гранофиров, а также обильная сульфидная
вкрапленность (Ро, Рп, Сер, Ni-содержащий Ру). Платиновая минерализация
представлена бреггитом, куперитом, мончеитом, лауритом [Ru(Ir, 08)82],
котульскитом, сперрилитом, Pt-Fe-сплавами, электрумом [(Pd)Au-Ag)]
и др., которые находятся в срастании с сульфидами, реже с Crt и
силикатами (Naldrett et д/., 1987). Отношения Pt/Pd в породах рифа
Меренского весьма устойчивы - 2-2.5. Платиновая минерализация в
рифе J-M (Стиллуотер) также представлена преимущественно брэггитом,
куперитом и Pt-Fe-сплавами, а также высоцкитом, теллуридами платины
(мончеит, меренскиит и др.) и другими (Todd et al., 1982).
Особую разновидность месторождений ЭПГ в критических
зонах представляют прослои хромититов. В верхней части ультраосновной
зоны Бураковского массива (фиг. 5) наблюдаются несколько прослоев
хромититов, наиболее мощным (2-4 м) из которых является Главный
Хромититовый горизонт, расположенный в самом верху этой зоны, на
границе с Пироксенитовой зоной (Sharkov et al., 1995). МПГ здесь
представлены двумя группами: сульфидами Os, Ir и Ru серии лаурит-эрликманит
(OsS^) и интерметаллидами Pt с Fe, Си и Ni серии изоферроплатинаавруит
(Смирнова, Дмитренко, 1994). Сульфиды заключены в хромите, а интерметаллиды
— в цементе руд. Мощный (2-10 м) горизонт хромититов установлен
буровыми работами также среди ультрамафитовых кумулатов Мончетундровского
массива, в зоне переслаивания между Мончегорским плутоном и габброидами
Мончетундры. По предварительным данным, суммарные содержания ЭПГ
здесь достигают 2 г/т.
В Бушвельде прослои хромититов представляют собой
кумулаты в основании циклов Критической зоны, прослеживающиеся на
десятки километров (Naldrett et ai, 1987; Scoon, Teigler, 1994).
Они различаются по своему стратиграфическому положению, составу
хромитов, содержанию сульфидов и составу ЭПГ. В хромититах среди
гарцбургитпироксенитовых циклов в низах Критической зоны наблюдаются
очень низкие содержания ЭПГ (< 1 мг/т), отношения (Pt + Rh +
Pd)/(Ru + Ir + +0s) < 1.
В средней части зоны, среди пироксенитноританортозитовых
циклов отмечаются умеренные содержания ЭПГ (1-5 мг/т), а указанное
отношение >2. Наибольший интерес представляет собой слой UG-2
из верхней части Критической зоны, содержащий большое количество
сульфидов и являющийся промышленным месторождением ЭПГ. Здесь это
отношение еще выше, a Pt/Pd отношение, как и в рифе Меренского,
весьма устойчиво и составляет в среднем от 1.5 до 2.5. В рифе UG-2,
наряду с бреггитом, куперитом и редким высоцкитом, а также теллуридами
Pd и Pt, сперрилитом и другими, широко представлены сульфиды группы
лаурита и сложного состава (Pt-Ir-Rh-Cu), электрум, а также Pt-Fe-
и Pd-Cu-Pt-Pb-сплавы, которые в ряде случаев преобладают (Naldrett
et аl., 1987).


Фиг. 5. Схема строения Бураковского массива(а) и его разрез (б)
(Sharkov et al., 1995). 1,2- вмещающие архейские породы: 1 - гранито-гнейсы,
2 - амфиболиты; 3 -9 - зоны Бураковского расслоенного интрузива:
3 - Магнетитовых габбронорит-диоритов, 4 - Пижонитовых габброноритов,
5 - Габброноритовая, 6 - Пи-роксенитовая, 7 - Перидотитовая подзона
Ультрабазитовой зоны, 8 - Дунитовая подзона той же зоны, 9 - нерасчлененная
Ультрабазитовая зона; 10 - Краевая группа; 11 - Главный Хромититовый
горизонт; 12 - разломы. Блоки: А - Аганозерский, Ш - Шалозерский,
Б - Бураковский.
Возникновение хромититовых прослоев Бушвельда,
как и рифа Меренского и "перидотитового пласта" Сопчи
в Мончегорском плутоне, связывается с поступлением новых порций
расплава в камеру плутона. Эти новые внедрения плотной горячей магмы
растекались по дну интрузивной камеры на расстоянии до 150 км и
приводили к смешению со старой магмой в камере плутона. Большинство
этих новых расплавов происходило из одного и того же источника,
поскольку изотопные характеристики пород не меняются. Только хромититы
UG-2 и образования рифа Меренского отличаются от них наличием радиогенного
Os, очевидно, связанного с ассимиляцией корового материала мантийными
расплавами (Scoon, Teigler, 1994).
Аналогичные данные были получены для хромититов
комплекса Стиллуотер (США), изученных с помощью Re-Os и Sm-Nd-изотопии
(Lambert et al., 1995). Данные по изотопии Os для ЭПГ-содержащего
хромититового горизонта В в верхней части Ультрамафической зоны
аналогичны данным для J—M рифа и сильно отличаются от бедных ЭПГ
кумулатов из этой зоны, свидетельствуя о том, что Os и, вероятно,
другие ЭПГ произошли из изотопно-различного источника. Эти данные
объясняются смешением двух типов магм, участвовавших в формировании
комплекса и описываемых как U-тип и А-тип, которые различаются главными
и редкими элементами, благороднометальной минерализацией и изотопией.
Радиогенный характер первичного Os в рифе J-M и других участках
с повышенными содержаниями ЭПГ свидетельствует о том, что А-тип
магм ассимилировал Os из древней архейской коры.
Платиноносные рифы второго типа. Очевидно, когда
свежий расплав новой порции был близок по плотности к старому расплаву
в камере плутона, ситуация была иной. Поступление новой порции приводило
к активному перемешиванию старого расплава в нижней части камеры,
после чего новый расплав постепенно вовлекался в конвекцию и смешивался
со старым. В целом здесь следует ожидать появления неоднородностей
в строении пород, участков и линз пород разного состава и разной
текстуры вплоть до грубозернистых и пегматоидных разновидностей,
пока не будет достигнута гомогенизация расплава.
Примером такой критической зоны является средняя
часть разреза интрузива Луккулайсваара в Северной Карелии (фиг.
6), для которой характерна крайняя неоднородность строения и наличие
большого количества тел микрогабброноритов (Гроховская и Клюнин,
1994). Эта Критическая зона мощностью около 500 м состоит из тонкого,
в ряде случаев беспорядочного чередования троктолитов, бронзититов,
норитов, гаС броноритов и анортозитов. Породы зоны част характеризуются
неравномернозернистым слежением, нередко с грубозернистыми участкам
вплоть до появления габброноритпегматито иногда содержащих гнезда
сульфидов и МП! Кроме того, здесь нередко отмечаются различные нарушения
расслоенности, в том числе стратиграфические несогласия и структуры
оползания кумулатов, а также просадочные структуры типа потол (Семенов
и др., 1997). С подобными структурами часто связаны участки с богатой
сульфидной и платинометальной минерализацией.
Помимо высокой изменчивости петрографического состава
пород, здесь широко развиты силло- и дайкообразные тела микрогабброноритов,
сходных с охарактеризованными выше образованиям "критического
горизонта" г. Нюд Мончегорскоп плутона. Нередко в них отмечаются
ксенолить вмещающих кумулатов, а иногда - ксенолиты ни жнекоровых
пород — гранатовых гранулито (Шарков, Леднева, 1993). Как и в Мончегорском
плутоне, эти тела, вероятно, представляли собой каналы внедрения
новых порций расплава. Они также содержат ЭПГ-оруденение и будут
охарактеризованы ниже.
Для Критической зоны характерно наличие прожилков,
гнезд и неправильных линзовидш участков, обогащенных Cu-Ni-сульфидами,
апатитом и ЭПГ, а также зональных грубозернисты жил с вебстеритовым
или ортопироксенитовы ядром с такой же рудной минерализацией. Подобные
грубозернистые пегматоидные участки ортопироксенитов с богатыми
содержаниями ЭП характерны и для рифа Меренского в Бушвельде (Scoon,
Teigler, 1994). Согласно Т.Л. Гроховской С.Ф. Клюнину (1994), увеличение
содержании ЭПГ в породах зоны сопровождается увеличением в них концентраций
Сг, а также С1 и некоторым ростом содержаний Си и Ni. Несмотря на
сложность строения этого рифа (Критической зоны), проявления ЭПГ
здесь приурочены к неясно выраженным горизонтам, хотя и не выделяются
в стратиграфически определенную рудную зону.
Как уже отмечалось, для Критической зоны Луккулайсваары
характерно большое количество разнообразных тел микрогабброноритов.
Их внедрение происходило в еще горячие кумулаты и нередко сопровождалось
подплавлением в последних интеркумулусного материала. Характерная
особенность зоны - присутствие автолитов) преимущественно микрогабброноритового
состава. Автолиты представляют собой мелкие тела неправильно-цилиндрической
формы с поперечником 5-10, реже 30-ю см и длиной 20-50 см.

Фиг. 6. Местоположение массива Луккулайсваара
(а), схема его геологического строения (б) (Клюнин и др., 1994)
и строение центральной части интрузива Лук-кулайсваара (Шарков,
Леднева, 1993; Клюнин и др., 1994) с уточнениями (в).
1 - габбронориты Краевой серии; 2-8 зоны: 2 -
Перидотитов, 3 - Пироксенитов, 4 - Нижняя норитовая, 5 -ритовая,
6 - Верхняя норитовая, 7 - Габброно-ритовая, 8 - Габбровая; 9 -
пегматоидные габбро; 10 -микрогаббронориты; 11 - гранофировые граниты;
12 –метавулканиты сариолия; 13 - вмещающие тнейсо- диориты и плагиограниты
архея; 14 - разломы; 15 - надвиг.
Они причудливо изгиоаются, ориентируясь своими
длинными осями в плоскости расслоенности. Встречаются и более крупные
автолиты линзообразной формы длиной до 1.5 м, которые могут включать
и автолиты размером до 10 см. В целом они выглядят как куски вязко-пластичного
материала, и, по-видимому, представляют собой куски полу затвердевших
пород со стенок подводящих каналов, или фрагменты тел еще горячих
микрогабброноритов, растащенных в процессе оползания вмещающих кумулатов
(Шарков, Леднева, 1993). Это свидетельствует о том, что формирование
Критической зоны происходило в условиях многократного внедрения
новых порций свежего расплава, обусловивших широкое разнообразие
текстурноструктурных особенностей пород и многочисленные нарушения
кумулятивной стратиграфии.
Подобный тип рифов весьма типичен для месторождений
ЭПГ, связанных с раннепалеопротерозойскими расслоенными интрузивами
на Балтийском щите: интрузива Панских-Федоровых тундр на Кольском
полуострове (Balabonin et al., 1994), а также комплексов Пеникат
и других в Финляндии (Alapieti et al., 1990), в частности Портимо
(массивы Наркаус и Суханко-Конттиваара: Iljina, 1994). В последнем
случае ЭПГ приурочены к маломощным (30—50 см) прослоям и линзам
норитов и габброноритов, обогащенных сульфидами и Ар; с ними пространственно
часто связаны пегматоидные сегрегации и тела габбронорит-пегматитов,
также содержащие ЭПГ.
Оруденение краевых
зон интрузивов
К этому типу относится оруденение как собственно
эндоконтактовых зон крупных расслоенных интрузивов, так и своеобразных
лейкократовых краевых зон микрогабброноритовых тел в критических
зонах.
Месторождения краевых зон крупных расслоенных интрузивов.
Для эндоконтактовых зон расслоенных интрузивов часто характерны
многочисленные тонкие халькопиритовых жилы и гнезда, расположенные
как в эндоконтактовых габброноритах, так и в ороговикованных вмещающих
породах. Подобные концентрации известны в эндоконтактах Мончегорского
плутона, Бураковского массива, комплекса Портимо и др. В эндоконтактовых
породах нередко присутствуют мелкие ксенолиты и пластины вмещающих
пород и проявлены признаки их частичной ассимиляции: жилки и гнезда
гранофиров, оплавленые ксенолиты гранитоидов, появление кордиерит-
и Qtz-содержащих габброидов и т.д. В случае контакта с гранитоидами
последние подвергаются частичному плавлению и импрегнации сульфидными
жилками и рассеянной сульфидной вкрапленностью.
Рассеянные Cu-Ni-сульфиды в краевой зоне Мончегорского
плутона содержат 1.5-2.5 г/т ЭПГ1 и относительно богаты Rh, в то
время как приконтактовые Си-рудопроявления и Сер жилы содержат до
20 г/т ЭПГ (при высоком Pd и низких концентрациях Rh, Ru и Ir, Grokhovskaya
et al., 1995). В краевой зоне Бураковского массива также наблюдается
малосульфидное оруденение, где среди МПГ преобладают теллуриды и
висмутиды Pd и Pt. В контактовой зоне комплекса Портимо (Финляндия)
содержание (Pt + Pd) достигает 20—100 г/т с высоким отношением Pd/Pt
и часто коррелирует с хлором; содержания Os, Ir, Ru и Rh здесь исключительно
низкие (Iljina, 1994).
Оруденение, связанное с телами микрогабброидов.
Этот тип оруденения пока выявлен только в массиве Луккулайсваара
и представляет особый интерес для понимания процессов концентрирования
ЭПГ на магматической стадии. Здесь промышленные концентрации ЭПГ
установлены в пределах лейкократовых оторочек самого крупного (Верхнего)
тела микрогабброноритов, расположенного в зоне перехода от Критической
зоны к вышележащей зоне Верхних Норитов (фиг. 7), близ вершины г.
Луккулайсваара. Обращает на себя внимание, что такая минерализация
связана только с этим телом, в других телах микрогабброноритов она
не отмечается, несмотря на наличие подобных оторочек (Шарков, Леднева,
1993; Гроховская, Клюнин, 1994). Лейкократовые оторочки наблюдались
также и в микрогабброноритах Мончегорского плутона, однако существенного
их обогащения ЭПГ не отмечается.
Верхнее тело микрогабброноритов имеет пластинообразную
форму и субсогласное с расслоенностью массива залегание. Его мощность
составляет около 100 м, местами увеличиваясь 200—250 м (фиг. 7).
Тело имеет согласную с контактами внутреннюю структуру. Его центральные
части сложены массивными, а периферические — своеобразными пятнистыми
микрогабброноритами, где крупные (2—5 см в диаметре) неправильно-овальные
ойкокристаллы Орх, Augj и инвертированного Pig ("пятна")
включают в ceбя мелкие хадакристаллы пироксенов и Р1. Вдоль верхнего
и нижнего эндоконтактов тела прослеживаются габброноританортозитовые
оторочки мощностью около 1 м. В отличие от самого тела они имеют
среднезернистое сложение и обогащены Cu-Ni-сульфидами и МПГ; сами
же микрогаббронориты обеднены рудными минералами даже по сравнению
с вмещающими кумулатами. Зоны закалки вдоль контактов тела отсутствуют,
что свидетельствует о его внедрении в еще горячие породы.

Фиг. 7. Поперечный разрез Верхнего тела микрогабброноритов,
составленный Е.В. Шарковым и Г.В. Ледневой, 1991 г.,
и изменение содержаний главных компонентов по разрезу.
1 - массивные микрогаббронориты; 2 - анортозитовые
оторочки тела с ЭПГ-минерализацией;
3 - "мелкопятнистые" микрогаббронориты, 4 - "грубопятнистые"
микрогаббронориты.
Породы верхней лейкократовой оторочки об разуют
зону повышенных концентраций ЭПГ (около 1.5-2.0 г/т, Гроховская,
Клюнин, Зона максимального концентрирования ЭПГ (около 20 г/т) приурочена
к нижнему контакту микрогабброноритов и характеризуется неравномерным
распределением безрудных и оруденелых участков пород с аномально
высоким концентрированием ЭПГ относительно сульфидов. Иной характер
имеет распределение ЭПГ в самом теле микрогабброноритов, где отмечаются
очень низкие содержания ЭПГ, особенно Ir и Ru (ниже предела чувствительности
анализа).
Следует подчеркнуть, что породы массива Луккулайсваара
довольно сильно изменены низкотемпературными процессами, которые
сказались как на минеральном составе пород и руд, так и на перераспределении
рудных компонентов. Сульфидная минерализация здесь представлена
несколькими парагенетическими ассоциациями (Grokhovskay et al.,
1992). Первично-магматическая стадия сопровождалась Сср-Рп-Ру-ассоциацией.
С вторичными процессами связано оруденение Ро-Рп-Сср и Сер состава;
среди амфибола, цоизита и других вторичных минералов развит парагенезис
Сс-Сср (±Рп). Появление здесь парагенезиса Сср-ганит вместо обычного
для сульфидных Cu-Ni-руд Сср-сфалеритового парагенезиса свидетельствует
о повышенной фугитивности кислорода на стадии рудоотложения. На
крайне неравновесные условия указывает одновременное присутствие
в них и окружающих сульфидах ильменита, сфена, цинксодержащих шпинелей,
ганита, а также алюмо-, ферро- и хромшпинелей широкого диапазона
составов. Это свидетельствует о том, что формирование оруденения
происходило в широком интервале условий - от собственно магматической
стадии до различных низкотемпературных метасоматических процессов
(Семенов и др.,1997).
Характерная ассоциация МПГ включает около 30 минеральных
видов, среди которых преобладают висмутотеллуриды Pd - меренскиит
[Pd(Te, Bi)2] и котульскит, а также его соединения с сурьмой и мышьяком
— сперрилит, маякит (PdNiAs), стиллуотерит [(Pd, Au)gAs3], мертиит
[Pd5(Sb,As)2] и изомертиит (Pd11As2Sb8). Большая часть изученных
МПГ приурочена к сульфидам, среди которых преобладает Сер. Для всех
МПГ характерна значительная изменчивость состава с широким изоморфным
замещением. Кроме МПГ, в халькопирите постоянно присутствуют мельчайшие
выделения электрума (AuAg) (Grokhovskaya et al., 1992).
Согласно Т.Л. Гроховской, на высокую концентрацию
летучих компонентов и их участие в рудоотложении указывает локализация
МПГ среди водо - Cl-содержащих минералов — скаполита, РЫ, хлорбиотита
и дашкесанита. Характерно, что содержание С1 в амфиболах увеличивается
(вплоть до 3 мае. %) по мере приближения к МПГ, иногда образуя обогащенные
хлором каймы. На участках шлирового оруденения в минералах палладия,
приуроченных к обособлениям Сер, отмечаются мелкие включения хлорбиотита
и дашкесанита, подтверждая генетическое единство рудо-образующего
флюида. Большинство рудных минералов располагается в интерстициях
между зернами магматических силикатов, а также в виде включений
в них, что может указывать на их первично-магматическую природу.
Судя по этим данным, а также четкой приуроченности оруденения к
контактам тела, главный этап формирования ЭПГ-оруденения здесь имел
место на магматической стадии и был связан с формированием лей кократовых
оторочек вокруг тела микробброноритов, а более низкотемпературные
процессы только приводили к частичному перераспределению ЭПГ.
ЭПГ В ПОРОДАХ ОФИОЛИТОВЫХ
АССОЦИАЦИЙ
Особый интерес при обсуждении проблемы поведения
ЭПГ в магматических процессах представляют офиолитовые ассоциации
фанерозоя, которые представляют собой фрагменты океанической литосферы
или литосферы задуговых морей, надвинутые на континентальную кору
в процессе формирования складчатых поясов (Магматические. .., 1988).
В разрезе офиолитовых ассоциаций принимают участие как образования
мантийного субстрата, из которого происходило выплавление базальтовых
магм (ультрабазитовый комплекс), так и океанической коры, сформированной
разнообразными породами магматического происхождения. Нижняя кора
здесь представлена образованиями расслоенного (габбрового) комплекса;
его нижние части образованы ритмичным чередованием ультрамафитов
и габброидов с мощным горизонтом кумулятивных дунитов в основании,
а верхние - преимущественно массивными неравномернозернистыми габброноритами.
Еще выше располагается комплекс параллельных даек и на самом верху
- пиллоулавы;
в нижней части разреза они имеют толеитовый состав,
а в верхней - часто бонинитовый. По существу в пределах офиолитовых
ассоциаций представлен весь разрез магматической системы начиная
от областей мантийной генерации магм через крупные промежуточные
магматические камеры, где происходило накопление новообразованных
расплавов, и кончая лавами, излившимися на дне морских бассейнов.
Считается, что возникновение большинства офиолитовых ассоциаций
связано с задуговыми морями, о чем свидетельствует состав магматических
пород и присутствие среди пиллоулав бонинитовых ассоциаций, формировавшихся
уже в островодужной обстановке (Магматические..., 1988; Lord et
al., 1994; Шарков и др., 1997з).
В связи с офиолитами известны субэкономические
рудопроявления ЭПГ, где они отмечаются как в породах ультрабазитовых
комплексов, так и в верхних массивных габброноритах расслоенных
комплексов. Это обстоятельство, а также наличие бонинитов в составе
офиолитовых ассоциаций позволяет провести некоторые аналогии с процессами
рудообразования в расслоенных интрузивах раннего палеопротерозоя,
хотя последние формировались в совершенно другой тектонической обстановке
(Шарков и др., 1997i).
Мантийные породы ультрабазитовых комплексов представлены
главным образом истощенными гарцбургитами с многочисленными телами
хромититов. Детальные исследования МПГ в мантийных хромититах из
разных офиолитовых ассоциаций: Войкар-Сыньинский массив на Полярном
Урале (Аникина, 1995), Кемпирсай на Южном Урале (Melcher et al.,
1994), Шетландские острова (Lord et al., 1994) и т.д. показали,
что первичными минералами здесь являются сульфиды систем Ru-Os-Ir-S
ряда лауритаэрликманита, Ir-Rh-Fe-Ni-Cu-S и Ni-Fe-Cu-Os-S, образующие
очень мелкие включения в центральных неизмененных частях зерен хромитов.
В хромитах Кемпирсайского массива были описаны также двухфазные
включения: лауритиридиосмин, эрликманит - Ni-Ir-сульфид, или эрликманит
-Ru-Os-Ir-сплав (Melcher et al., 1994). В краевых, метаморфизованных
частях зерен, в хлорит-хром-магнетитовых каймах по Crt, в трещинках,
выполненных серпентином, и в хлорит-серпентиновом цементе руд Войкар-Сыньинского
и Кемпирсайского массивов появляются арсениды и сульфоарсениды систем
Ir-Rh-Ru-As-S, Ru-As и Pt-As - ирарсит, холлингвортит, сперрилит,
руарсит, орселит, руарсенит (Melcher et al., 1994; Аникина, 1995).
В этих же каймах встречаются мелкие включения водосодержащих силикатных
минералов (амфибола, Na-флогопита, хлорита, серпентина). Для большинства
рудных тел выдерживается отношение: Ir > Os > Ru > Rh >
Pt, Pd. Отношение PdAr в хромититах варьирует в широких пределах:
от 0.001 до 0.17. В хромититах Кемпирсайского массива содержание
ЭПГ + Аи варьирует от 104 до 506 мг/т, в то время как в перидотитах
и серпентинитах оно на порядок ниже и составляет от 20 до 52 мг/т
(Melcher et al., 1994).
В Шетландских офиолитах Pt, Pd и Rh в существенных
количествах появляются в ассоциации с Cu-Ni-сульфидами главным образом
в магматических породах из низов расслоенной серии в двух характерных
ассоциациях: 1) в дунитовых кумулатах, где они ассоциируют с хромититами,
и 2) в перекрывающих их хромитсодержащих верлитах и клинопироксенитах
(Lord et al., 1994). В некоторых случаях подобное обогащение устанавливается
и в мантийных хромититах среди гарцбургитов, что связывается с частичной
кристаллизацией новообразованных расплавов в процессе их миграции,
поскольку они окружены дунитовой "рубашкой" (Prichard,
Tarkian, 1988).
Согласно данным этих исследователей, в порядке
распространенности МПГ представлены сперрилитом, мертиитом [(Pd,
Cu)n(Sb, As)4J или стибиопалладинитом [(Pd, Cu)g(Sb,As)3], Pt-Pd-Cu-Au-сплавами,
хонгшиитом (PtCu), генкинитом [(Pt, Pd)4Sb3] и потаритом (PdHg).
Наиболее ранний минерал — лаурит, содержащийся в центральных частях
хромитовых зерен. Остальные МПГ - безосмиевый лаурит с включениями
смородного Os и ирарсита, богатый Ru пентландит, Pd-Au-сплавы, Pt-содержащее
золото и другие, наблюдаются в метаморфических каймах по Crt и в
измененной вмещающей серпентин-хлоритовой силикатной матрице, где
ассоциируют с Рп, никелевым арсенидом и самородной Си.
В целом Ni, Си и легкоплавкие ЭПГ (Pt, Pd и Rh)
близки по характеру распределения. В отличие от них As и Sb связаны
в основном с участками интенсивного изменения пород в зонах рассланцевания,
где, например, содержание As достигает 900 г/т в отличие от большинства
"свежих" образцов, где этот уровень ниже 20 г/т. Из этого
следует, что данные элементы были привнесены в породы офиолитовой
ассоциации существенно водными флюидами из подстилающих метаосадков.
Наиболее высокие концентрации Pt, Pd и Аи (> 10 г/т) наблюдаются
именно в сильно измененных богатых хромитом дунитах, что указывает
на важную роль вторичного концентрирования благородных металлов.
Как и в расслоенных интрузивах, обогащенные ЭПГ
горизонты и участки встречаются и среди массивных неравномернозернистых
габброноритов верхних частей офиолитовых ассоциаций (Prichard, Lord,
1990; Шарков и др., 19972). Концентрации ЭПГ обычно приурочены к
участкам развития Cu-Fe-Ni-сульфидов и достигают 1—2 г/т при отношениях
Pd/Pt 5—10. МПГ здесь пока не обнаружены; по-видимому, ЭПГ растворены
в сульфидах, преимущественно в Сер.
ДИСКУССИЯ
Как следует из приведенных данных по распределению
ЭПГ в крупных раннепалеопротерозойских расслоенных интрузивах, а
также в близких к ним породах офиолитовых ассоциаций островодужного
типа, концентрирование ЭПГ происходило как на магматической стадии,
так и в процессе метасоматических преобразований пород в широком
интервале температур. При этом следует подчеркнуть, что сами интрузивы,
как и магматические системы офиолитовых ассоциаций, в процессе своего
формирования и последующих преобразований являлись открытыми системами:
в кристаллизующиеся интрузивные камеры периодически поступали новые
порции свежих расплавов, а через уже затвердевшие породы могли просачиваться
различные флюиды из вмещающих и подстилающих пород, производя перераспределение
рудных элементов. Таким образом, в большинстве случаев существенные
концентрации ЭПГ (даже в пределах одного интрузива) возникали в
результате разнообразных петрологических процессов, каждый из которых
играл свою собственную роль на всех этапах становления и преобразования
пород. Судя по тому, что повышенные концентрации ЭПГ в целом контролируются
первично-магматическими текстурами интрузивов, их формирование было
связано, прежде всего, с магматическими процессами; метасоматические
явления чаще играли подчиненную роль, приводя к перераспределению
и вторичному концентрированию ЭПГ.
Приуроченность месторождений ЭПГ к раннепалеопротерозойским
расслоенным интрузивам, образовавшимся за счет магм бонинитоподобной
серии, свидетельствует о том, что эти расплавы были изначально обогащены
ЭПГ. Однако в изученных интрузивах Балтийского щита, как и во всем
мире, месторождения, связанные с процессами кристаллизационной дифференциации
в камерах плутонов, отсутствуют, что, очевидно, указывает на относительно
низкие содержания ЭПГ в исходных расплавах. Вместе с тем, эти процессы
сказывались на первичном их распределении в породах: для высокотемпературных
хромититов более характерны ЭПГ тугоплавкой группы (ТЭПГ) - Ru,
Ir, Os, а для более низкотемпературных кумулатов - легкоплавкой
(ЛЭПГ) -Pd и Pt, и отчасти Rh. Высокие содержания ЭПГ наблюдаются
только в рифах, связанных с внедрением новых порций расплавов в
кристаллизующиеся магматические камеры, и в эндоконтакто-вых зонах
интрузивных тел. Очевидно, первое свидетельствует об изначальной
обогащенности некоторых порций расплавов ЭПГ (особенно ЛЭПГ), а
второе указывает на важную роль охлаждающихся поверхностей в концентрировании
ЛЭПГ на магматической стадии.
Процессы формирования исходных расплавов. Как известно,
типичные для раннего палеопротерозоя расслоенные интрузивы Балтийского
щита и всех других докембрийских щитов по составу пород и минералов,
общему характеру разрезов и особенностям своего формирования достаточно
близки друг к другу, хотя заметно отличаются деталями строения и
степенью развития тех или иных кумулатов. Все они произошли за счет
расплавов специфической для этого времени кремнеземистой высокомагнезиальной
(бонинитоподобной) серии (Шарков и др., 1997). Особенность пород
этой серии - высокие содержания магния, хрома, никеля и ЭПГ сочетаются
с высокими концентрациями 8Юз, Ва, Zr и повышенными ЛРЗЭ при низких
содержаниях титана, щелочей, ТРЗЭ, ниобия, иттрия и т.д. По существу
они представляют собой смеси выплавок из высоко-деплетированной
ультраосновной мантии и корового материала, присутствующих в разных
пропорциях.
Все массивы имеют однотипную внутреннюю структуру,
а их породы связаны промежуточными разновидностями и зонами ритмичного
переслаивания в единые серии. Из этого следует, что кристаллизация
интрузивов происходила по обычной схеме в условиях существования
единых магматических камер путем направленного снизу вверх затвердевания
(Шарков, 1980). Вместе с тем, как было показано выше, этот процесс
сопровождался многократным поступлением новых порций свежего расплава
в затвердевающие камеры плутонов, что приводило к незакономерным
нарушениям кумулятивной стратиграфии, а также появлению разнообразных
критических зон. Эти новые порции однотипных расплавов эволюционировали
во времени от высокомагнезиальных к высокоглиноземистым. Смешение
в камерах плутонов нового расплава со старым приводило к последовательному
изменению состава кристаллизующихся расплавов и соответствующему
изменению выделяющихся кристаллических фаз. В целом расслоенные
интрузивы представляли собой коровые магматические резервуары, где
накапливались расплавы, поступавшие снизу. Размер этих камер, вероятно,
постоянно увеличивался по мере поступления новых порций расплава
и их окончательные размеры, очевидно, определялись масштабами и
длительностью существования данной магматической системы.
Из этого следует, что в одном и том же месте в
определенной последовательности, близкой для всех раннепалеопротерозойских
интрузивов, в одни и те же коровые резервуары поступала целая серия
отличавшихся друг от друга расплавов. При этом, как показали исследования
Re-Os, Rb-Sr и Sm-Nd-изотопных систем в породах Бушвельдского и
Стиллуотерского интрузивов, в их формировании принимали участие
по крайней мере два типа магм — более ранняя ультрамафическая (U-тип),
образовавшаяся из мантийного источника, и более поздняя - существенно
анортозитовая (А-тип), сформировавшаяся, вероятно, за счет плавления
базитов нижней коры (Lee, Butcher, 1990; von Gruenewaldt, Harmer,
1992; Lambert et al., 1995). Это подтверждается и находками ксенолитов
гранатовых гранулитов в микрогабброноритах Луккулайсваары. Сходные
результаты были получены и для Бураковского массива, где, помимо
мантийного, предполагается участие в магмообразовании трех коровых
субстрактов (Amelin, Semenov, 1996).
Однако при этом только некоторые из свежих порций
расплава, например, формировавшие "рудный пласт Сопчи"
в Мончегорском плутоне, одно из тел микрогабброноритов в Луккулайсвааре,
хромититы UG-2 и образования рифа Меренского в Бушвельде, риф J-M
в Стиллуотере и т.д., были платиноносными; они же отличаются наличием
радиогенного Os, очевидно, ассимилированного мантийными расплавами
из корового материала (Scoon, Teigler, 1994; Lambert et al., 1995).
Все это предполагает достаточно сложные процессы
формирования расплавов в магматических системах под интрузивами.
По-видимому, происхождение этой серии расплавов было связано с крупномасштабной
контаминацией пород коры высокотемпературными (1500—1600°С, Гирнис
и Рябчиков, 1988) мантийными расплавами в нижнекоровых промежуточных
очагах. Согласно X. Хупперту и Р. Спарксу (Huppert, Sparks, 1985),
в кровле таких очагов неизбежно должно было происходить плавление
существенно более низкотемпературного корового материала. Дальнейшее
течение процесса должно было подчиняться принципу зонной плавки.
Этот принцип предполагает непрерывное движение очага снизу вверх
за счет переплавления пород кровли и кристаллизации высокотемпературных
фаз у дна. Такой механизм обеспечивал постепенное изменение со става
исходного расплава в магматическом очаге по мере его всплывания
через кору к поверхности путем ассимиляции вещества коры и удаления
высокотемпературных фаз (фиг. 8). Из-за наличия растягивающих напряжений
над такими всплывающими очагами, в их кровле периодически появлялись
разрывы, благодаря которым часть расплава проникала на более высокие
уровни в земной коре, накапливаясь в форме расслоенных интрузивов.
Судя по несистематическому появлению прослоев высокотемпературных
кумулатов, этот очаг периодически подпитывался расплавами из области
мантийной магмогенерации, что обеспечивало устойчивость его существования
в течение длительного интервала времени.
Очевидно, разрез и характер коры над конкретными
магматическими системами были различны, что должно было приводить
и к некоторым отличиям в составе новообразованных расплавов. Это
обстоятельство могло играть важную роль и в процессах рудообразования.
Поскольку только некоторые рифы являются платиноносными, существенная
часть содержащихся в них ЛЭПГ, по-видимому, была ассимилирована
из супракру стальных пород — коматиитов, черных сланцев и т.д.,
обогащенных Pt и Pd (Zhou, 1994; Дистлер и др., 1996). Присутствие
в коре подобных образований на пути прохождения магм, вероятно,
являлось непременным условием появления таких рифов.
Рудообразование в эндоконтактовых зонт интрузивов.
Эндоконтактовые зоны интрузивов и крупных секущих жильных тел (в
частности, микрогабброноритов Луккулайсваары) часто характеризуются
повышенными вплоть до промышленных концентрациями ЛЭПГ. Особую важность
для понимания конкретного механизма их концентрирования в зонах
охлаждающихся контактов интрузивов имеют наблюдения в Верхнем микрогабброноритовом
теле Луккулайсваары, При этом сами микрогаббронориты тела значительно
обеднены рудными компонентами даже по сравнению с вмещающими кумулатами,
а вся рудная нагрузка сосредоточена в анортозитовых оторочках тел.

Фиг. 8. Схема формирования крупных расслоенных
плутонов при "всплывании" магматического очага через толщу
земной коры по механизму зонной плавки.
1-3 - образования архейской литосферы: 1 - деплетированные
ультрамафиты литосферной мантии, 2 - гранатовые гранулиты нижней
коры (в основном базитового состава), 3 - верхняя кора (материал
гранит-зеленокаменных областей); 4 - образования палеопротерозоя;
5 - схема "всплывания" промежуточного магматического очага
через кору; 6 - расслоенный интрузив (снизу вверх): ультрамафиты,
нориты и габбронориты, анортозиты, пижонитовые габбро-нориты и диориты,
гранофиры; 7 - пути перемещения магмы из очага: сохранившиеся (а)
и переработанные в последующих процессах (б).
Судя по петрологическим данным, в процессах рудообразования
здесь активную роль играли Cl, S и вода.
Обращает на себя внимание появление здесь лейкократовых
оторочек, а не тонкозернистых зон закалок, характерных для даек
и силлов, внедрявшихся в холодные вмещающие породы. Очевидно, это
свидетельствует о том, что внедрение тела происходило в уже затвердевшие,
но еще горячие кумулаты. По-видимому, именно это обстоятельство
сыграло определяющую роль как в появлении самих оторочек, так и
в формировании здесь рудных концентраций. Судя по наличию в габбронорит-анортозитовых
оторочках типичных магматических структур и минералов, их формирование
происходило еще на магматической стадии, а приуроченность большинства
МПГ к интерстициям между силикатными минералами также свидетельствует
об их магматическом происхождении. Из этого следует, что еще в начале
процесса остывания внедрившегося в горячие кумулаты тела расплава
произошло эффективное обогащение ("накачка") его приконтактовых
участков Al, Ca, Na и ЛЭПГ. Из известных к настоящему времени физико-химических
механизмов дифференциации расплавов такой избирательный "отсос"
компонентов к охлаждающимся краям тела может быть осуществлен только
термодиффузией, т.е. избирательной миграцией низкотемпературных
легкоподвижных компонентов расплава или раствора в условиях градиента
температур (принцип Соре), широко используемой в ряде промышленных
технологий в металлургическом производстве и в атомной промышленности.
Отношение к этому механизму в современной петрологии неоднозначно:
большинство полевых петрологов, непосредственно изучающих крупные
интрузивы, считает, что с его помощью можно объяснить ряд важных
особенностей строения и вещественного состава их эндоконтактовых
зон. В то же время большинство физико-химиков, несмотря на признаваемое
ими отсутствие какой-либо информации о параметрах термодиффузии
в петрологически важных системах, отвергает возможность существенной
роли этого механизма при затвердевании интрузивов. Главным аргументом
при этом является утверждение, что термические градиенты в расплавах
существенно менее продолжительны по сравнению с градиентами, обусловливающими
обычную диффузию частиц (Мюллер, Саксена, 1980; Френкель и др.,
1988). Однако, при этом совершенно не учитывается тот факт, что
после прохождения закалочных явлений и прогрева вмещающих пород
вокруг крупного интрузива возникает своеобразная "теплоизолирующая
рубашка", связанная с уменьшением коэффициента теплопроводности
вмещающих пород при увеличении температуры (Кларк, 1969). В результате
скорость оттока тепла от интрузива стабилизируется на минимальных
значениях и становится сопоставимой со скоростью диффузионного массопереноса;
аналогичная картина должна иметь место и при внедрении расплава
в горячие породы. Из этого вытекает, что процессы термодиффузии
могут и должны играть важную роль при затвердевании расплавленных
тел в условиях минимальных температурных градиентов, что следует
и из геологических наблюдений, в частности из появления лейкократовых
оторочек у тел микрогабброноритов Луккулайсваары и Мончегорска,
внедрявшихся в еще горячие кумулаты.
Почему именно Са, Al, Na, Си, N1 и ЛЭПГ являлись
наиболее подвижными при формировании оруденелых лейкратовых оторочек
Верхнего тела? Как уже указывалось выше, присутствие в этих оторочках
первичных сульфидов, иногда с включениями водосодержащих минералов,
С1-апатита, Cl-содержащих амфиболов и слюд, свидетельствует о том,
что в исходном расплаве присутствовали водно-солевые S-содержащие
флюидные компоненты. Согласно И.Д. Рябчикову (1975), эти компоненты
при высоких температурах растворяются в расплавах, а при понижении
температуры переходят во флюид.
Присутствие таких флюидных компонентов имеет важное
значение, поскольку они образуют с металлами легкоподвижные комплексные
соединения, существующие в расплавах в форме хлор-, окси- и сульфоионов.
Как известно, Си, Pt,' Pd, Ag, Au, Hg, Sn образуют с хлором комплексные
соединения типа гексохлоратов и хлоратов, Са и Na - гипохлоритов,
Al, Pb, Sn, As, Sb и Zn -гидроксокомплексы, a Hg, As, Sb и Sn -
сульфидные комплексы; Bi, Se и Те входят в группу серы и ведут себя
аналогичным с ней образом, а Р, Nb и Та существуют в форме сложных
ионов (Полинг, 1974). Из этого следует, что миграция Al, Са и Na,
а также рудных элементов (ЛЭПГ, Си, Ni, Hg, Pb и др.) могла осуществляться
в расплавах (и растворах) в форме легкоподвижных хлоридных, гидро-ксильных
и сульфидных комплексов (ионов), и именно это могло сыграть решающую
роль при термодиффузии. Это хорошо согласуется и с экспериментами
М. Флита и Т. By (Fleet, Wu, 1995), показавшими, что в условиях
термического градиента, при наличии в расплаве С1, Н^О и S, ЛЭПГ
и Au концентрируются в зонах охлаждения.
Возможно, эти же факторы в какой-то мере определяли
и формирование повышенных концентраций ЛЭПГ в приконтактовых базитовых
зонах самих расслоенных интрузивов, хотя здесь, вероятно, более
важную роль могли играть ассимилированные из вмещающих пород такие
же флюидные компоненты (Fastens et al., 1995). По-видимому, в случае
Мончегорского плутона они извлекались из вмещающих метаосадочных
пород Кольской серии архея (кордиеритовых гнейсов), в массиве Дулут
- из метаосадков формации Томсон, а в комплексе Портимо — при ассимиляции
сиалического материала вмещающих пород.
Рудообразование в платиноносных рифах. Вероятно,
термодиффузия играла важную роль и в формировании ультрамафических
платиноносных рифов типа рудного пласта Сопчи (Мончегорск) и др.
Здесь также наблюдается сильное локальное обогащение рудными компонентами
сравнительно маломощных прослоев при отсутствии оруденения в ниже-
и вышележащих кулу-матах. МПГ в рифах представлены арсенидами, висмутидами,
теллуридами, сульфидами, станнидами и сурьмяными соединениями; в
минералах нередко отмечаются примеси ртути и селена. Конкретные
минеральные ассоциации варьируют и различны для разных рифов, но,
как и в рассмотренном выше случае, они ассоциируют с Cu-Ni-сульфидами
и Cl-содержащими амфиболами и слюдами, апатитом и другими, что свидетельствует
об участии в их формировании флюидных F^O-S-Cl-komnohehtob.
По-видимому, при образовании платиноносных рифов
мы также имеем дело с избирательным извлечением рудных компонентов
из расплава, которое, скорее всего, также осуществлялось термодиффузией,
поскольку здесь участвуют те же самые рудные и флюидные компоненты.
Они были растворены в новой порции свежего плот ного расплава, растекавшегося
по поверхности зоны кристаллизации и сразу же вовлекавшегося в процессы
кристаллизации (фиг. 4). Тем самым имевшиеся в данной порции расплава
ЭПГ в форме комплексных соединений мигрировали в зону кристаллизации
и фиксировались в ней в форме соответствующих минеральных фаз. Однако,
в отличие от рассмотренного выше случая, здесь миграция элементов
происходила в сторону уже существующей зоны кристаллизации, где
кристаллы представляли собой ликвидусные фазы (01, Орх, Crt), выделявшиеся
на фронте начала затвердевания высокотемпературного расплава. Поэтому
процессы термодиффузии могли проявиться только в форме миграции
наиболее подвижных хлоридных, сульфидных и близких к ним Bi, Те,
Se и др. комплексных соединений с ЛЭПГ, Си, Ni, Hg, As, Sb и Sn,
обогащая ими ингерстициальный расплав зоны кристаллизации. Поскольку
этот расплав был пересыщен Са, А1 и Na - главным компонентами остаточного
расплава, диффузия этих элементов в зону кристаллизации была подавлена
и формирование лейкократовых оторочек здесь не происходило. Формирование
таких рифов прекращалось, как только новый расплав начинал вовлекаться
в процессы конвекции; в результате, этот расплав и его флюидные
компоненты растворялись и разуобоживались в главном объеме расплава,
тренд кристаллизации возвращался в прежнюю позицию и рудообразование
прекращалось.
Наличие в новых порциях расплава соответствующих
флюидных компонентов являлось необходимым и при формировании второго
типа критических зон, представляющих собой более мощные горизонты
габброидов с неравномерно-зернистой, часто грубозернистой структурой,
с локальными гнездами и участками развития сульфидной и ЛЭПГ-минерализации.
Из-за отсутствия плотностных различий между старым и новым расплавом,
последний не образовывал четко выраженного слоя, а был весьма неравномерно
распределен в объеме, что препятствовало его локализации на определенной
поверхности. В результате подобная флюидная фаза с ее рудной нагрузкой
здесь концентрировалась в поздних продуктах кристаллизации (разнообразных
габбро-пегматитах и гнездах).
Природа флюидных компонентов, ответственных за
транспортировку и локализацию ЛЭПГ-оруденения, пока неясна. По-видимому
Cl, S и Нр - типичные флюидные фазы метаосадков, как и Bi, As, Те,
Sb, Sn, Hg, Nb, Se и другие, являющиеся типичными элементами гранитоитов,
имеют тот же источник, что и коровью компоненты расплавов. Из этого
следует, что в процес-fcce своего подъема через архейскую гранит-зеленокаменную
кору магматический очаг в ряде случаев мог пересекать прослои супракрустальных
пород, и именно это обстоятельство играло решающую роль в рудообразовании.
Существование рифов без ЭПГ-оруденения (например, риф Бастард в
Критической зоне Бушвельда) и микроноритовых тел с безрудными лейкократовыми
оторочками, вероятно, свидетельствует о том, что наличие только
флюидной фазы является недостаточным. Необходима также добавка ЭПГ,
которая могла быть извлечена из некоторых ЭПГ-содержащих пород супракрустальных
комплексов в процессе подъема промежуточной камеры через древнюю
континентальную кору.
Таким образом, появление рифов - главного типа
месторождений ЛЭПГ в расслоенных интрузивах, по-видимому, побочное
следствие ассимиляции корового вещества - как древней гранитной
коры, так и древних супракрустальных комплексов в процессе развития
магматических очагов под интрузивами. Вероятно, ключевую роль здесь
играли супракрустальные образования — при их отсутствии в разрезе
нижележащей коры S-содержащие водносолевые флюиды будут иметь слишком
низкую концентрацию в расплаве и не смогут стать рудообразующим
фактором; кроме того, не хватит и самого рудного вещества. Очевидно,
именно поэтому только небольшая часть новых порций свежих расплавов
приводит к появлению рифов. Поскольку строение земной коры неустойчиво
как по латерали, так и вертикали, предсказать появление платино-носных
рифов практически невозможно.
Субсолидусный метасоматоз. Как уже указывалось,
Cl, S и Н^О при понижении температуры переходят во флюидную фазу
и далее могут оперировать самостоятельно, о чем свидетельствует,
например, изучение платиноносных дунитовых трубок в Критической
зоне Бушвельдского интрузива. Их образование связывается с инфильтрацией
подобных флюидов через уже затвердевшие кумулаты, вымывавших из
них SiO^, А1^0з и СаО с образованием реститовых дунитов (Schif-fries,
1982; Boudreau etal., 1986). Возникающая при этом метасоматическая
зональность (дунит-клинопироксенит-лейкогаббронорит) свидетельствует
о большей подвижности А1 по сравнению с Са в таких условиях. Обогащение
оливина дунитов железом, вероятно, происходило по реакции Mg2Si04
+ 2FeCl2 = Fe2SiC>4 + 2MgCl2. Источником таких флюидов могли
служить интерстициальные расплавы из нижележащих кумулатов. Такие
флюиды могли распространяться вдоль контракционных трещин и ослабленных
зон в еще горячих породах, приводя к появлению разнообразных метасоматических
жил, неправильных тел и трубок.
Субсолидусный метасоматический процесс сопровождался
переотложением ЭПГ, приводя к их концентрированию в рестите. В отличие
от рудной минерализации рифов здесь преобладают самородные металлы
и сплавы, появление которых, вероятно, связано с восстановлением
воды во флюидах при реакции с железосодержащими фазами в процессе
их прохождения через толщу уже сформированных еще горячих ультрамафических
кумулатов по реакции 2FeO + I-^O = Ре^Оз + Н^. В этой связи обращает
на себя внимание роль хромититов как адсорбентов платины (например,
в трубке Онвервахт, Бушвельд), поскольку именно в контакте с ними
восстановление флюидов идет наиболее эффективно, о чем свидетельствуют
магнетитовые "рубашки" вокруг многих зерен хромита в кумулатах.
Вероятно, такое же восстановление флюидов частично
имело место и в кумулятивных хромититах расслоенных интрузивов и
в хромититах офиолитовых ассоциаций (см. выше), где первичные фазы
представлены в основном включенными в хромит сульфидами, более поздние
- арсенидами, стибнидами и другими, а самые поздние -самородными
металлами и сплавами. Преобладание в хромититах ТЭПГ (Ru, Ir, Os)
связано с тем, что они являются наиболее высокотемпературными рудными
фазами как реститов в ультрабазитовых комплексах офиолитов, так
и кумулатов в расслоенных интрузивах. Для более низкотемпературных
кумулятивных парагенезисов в обоих случаях характерно Pt-Pd-оруденение.
Очевидно тот же процесс восстановления флюидных компонентов имел
место и в обогащенных ЛЭПГ рифах на заключительных стадиях их формирования,
о чем свидетельствует появление в них самородных металлов.
Локализация платиноносных метасоматитов, по-видимому,
определялась участками наибольшей проницаемости в уже затвердевших
частях интрузивов или уже после их полного затвердевания в связи
с явлениями контракции, а также значительно позже при возобновлении
тектонической активности. И если низкотемпературные метасоматиты
связаны главным образом с зонами разрывных нарушений, то положение
высокотемпературных разновидностей практически непредсказуемо. Они
обычно возникали в связи с формированием критических зон, образуя
ультрамафические трубки, пластовые тела и жилы. На месте разгрузки
таких флюидных струй, вероятно, возникали потолы с повышенными содержаниями
ЛЭПГ.
Рудообразование в офиолитовых ассоциациях. Офиолитовые
ассоциации представляют собой сложную комбинацию из трех типов материала:
1) деплетированных мантийных реститов, 2) продуктов
их плавления и 3) вулканитов островодужного типа. Эти последние
слагают верхние части разреза вулканитов и, в ряде случаев, верхние
части расслоенных комплексов (Шарков и др., 19972). Таким образом,
магматические расплавы, формировавшиеся в системе дуга-задуговое
море, как и палеобониниты раннего протерозоя произошли за счет сходных
субстратов – высоко деплетированного ультрабазитового вещества мантийного
клина и корового материала и флюидов зоны субдукции. Однако механизм
генерациг этих магм, по-видимому, был диаметрально противоположен
палеопротерозойскому: если там перичные ультраосновные расплавы
ассимилировали коровый материал, то здесь, наоборот, выплавленные
в зоне субдукции расплавы анде- и зит-дацитового и дацитового состава
ассимилщ ровали вещество мантийного клина в процесса своего подъемыа
к поверхности (Ерошенко, Шар ков, 1993; Schiano et dl., 1995). В
конечном счет магмы, генерировавшиеся в системе дуга-задуго вое
море, во многом близки к бонинитоподобным расплавам раннего палеопротерозоя
и также характеризуются повышенными концентрациями ЭПГ (Бортников,
Лисицын, 1995).
Среди реститовых хромититов мантийной части разреза
офиолитов первичными фазами являются только сульфиды ТЭПГ - Os,
Ir и Ru. Появление в них более низкотемпературных ЭПГ связано с
наложенной серпентинизацией в процессе обдукции офиолитов, сопровождавшейся
гидротермальным привносом As и Sb из метаосадков, Сходная минерализация
устанавливается и в хромититах расслоенных комплексов офиолитов,
а среди ультрамафитов в низах этих комплексов в ассоциации с Cu-Ni-сульфидами
в существенных количествах появляются Pt, Pd и Rh. Как и в расслоенных
интрузивах, обогащенные Cu-Ni-суль-фидами и ЛЭПГ (главным образом
Pd) горизонты и участки встречаются среди неравномернозернистых
габброноритов верхних частей офиолитовых ассоциаций, происшедших
уже за счет островодужных магм.
Таким образом, развитие магматических систем офиолитовых
ассоциаций задугового типа, несмотря на принципиальные различия
в меха низме генерации расплавов, имело ряд общш черт с развитием
раннепалеопротерозойскш магматических систем. В обоих случаях мантийное
магмообразование происходило за счет высо-кодеплетированных ультрабазитовых
субстра-тов, которое затем сменялось мантийно-коровым магмообразованием.
В целом, наблюдаемая картина полностью согласуется с представлениями
И. Д. Рябчикова (1988) о том, что в процессе частичного плавления
мантии ЭПГ (как сильно халькофильные элементы) остаются в деплетированной
мантии в форме тяжелых сульфидных капель Они мобилизуются главным
образом при плавлении деплетированной мантии; при этом ТЭПГ е основном
остаются в составе реститов, а ЛЭПГ уходят с расплавами, обеспечивая
фракционирование ЭПГ по сравнению с хондритовыми пропорциями.
ЗАКЛЮЧЕНИЕ
Изучение петрологических механизмов концентрирования
ЭПГ в расслоенных интрузивах показало, что несмотря на общее сходство
их строения и вещественного состава, каждый из них очень индивидуален.
Формирование в них концентраций ЭПГ, как правило, было многостадийным
- от собственно магматической стадии до низкотемпературных метасоматических
процессов. При этом главным из них, по-видимому, являлся магматический
этап, определявший первичное накопление ЭПГ в определенных участках
массивов. При рудообразовании на магматической стадии ТЭПГ концентрируются
главным образом в наиболее высокотемпературных кумулатах (хромититах),
а ЛЭПГ могут наблюдаться во всех остальных разновидностях пород.
Из-за невысоких содержаний ЭПГ в исходных палеобонинитовых
расплавах фракционная кристаллизация не являлась рудообразующим
фактором. Судя по имеющимся данным, наиболее важную роль здесь играли
дополнительные внедрения новых порций расплавов в затвердевающие
камеры плутонов, причем только те, что были обогащены водносолевыми
S-содержащими флюидными компонентами и ЭПГ. Как те, так и другие,
по-видимому, извлекались из соответствующих пород коры (видимо,
супракрустальных комплексов) в процессе их ассимиляции при подъеме
промежуточных магматических очагов; параллельно расплав обогащался
Bi, Те, As, Sb, Sn, Та, Те, Hg и другими, извлеченными из коровых
гранитоидов. Последние образуют легкорастворимые соединения с этими
флюидными компонентами и ЭПГ и мигрируют вместе с ними на всех стадиях
рудообразования. При этом флюидные компоненты играли важную роль
в транспортировке ЭПГ, а "гранитоидные" - в их фиксации
в породах.
На магматической стадии растворенные в магме флюидные
компоненты извлекали ЭПГ из расплава и переоткладывали их на физических
барьерах - вдоль охлажающихся поверхностей. Ведущим механизмом процеса
рудообразования, вероятно, были процессы термодиффузии в условиях
низких температурных градиентов, когда скорости диффузии тепла и
вещества максимально сближены. Это следует из материалов по оруденелым
лейкократовым оторочкам микрогабброноритов Луккулайсваары. В зонах
эндоконтактов самих интрузивов эти процессы усиливались при частичной
ассимиляции вещества вмещающих пород, особенно при наличии в них
водносолевых рассолов. Ведущим механизмом рудообразования в рифах,
по-видимому, так же была термодиффузия ЭПГ-содержащих флюидных комплексов
из слоя новой порции обогащенного ЛЭПГ-расплава в зону кристаллизации;
формирование рифов заканчивалось после вовлечения этого расплава
в процессы внутрикамерной конвекции и его смешения с главным объемом
расплава.
Из всего этого следует, что главным фактором формирования
ЭПГ оруденения в рассмотренных расслоенных интрузивах на магматической
стадии являлось присутствие в некоторых порциях расплава как S-содержащих
водносолевых флюидов, так и собственного ЭПГ-потенциа-ла. При отсутствии
хотя бы одного из этих факторов рудные концентрации не формировались,
о чем свидетельствует широкое развитие безрудных рифоподобных горизонтов
в разрезах критических зон интрузивов. Очевидно, это свидетельствует
о важной роли коровых субстратов на участках развития подобных магматических
систем: при отсутствии в них соответствующих супракрустальных комплексов,
которые могли бы быть источниками данных компонентов, интрузивы
являются безрудными (существует множество примеров).
После затвердевания, в интрузивах имели место разнообразные
метасоматические процессы, проходившие в широком интервале температур
также при участии водносолевых флюидов, которые производили перераспределение
и вторичное концентрирование ЭПГ.
Таким образом, процесс формирования месторождений
ЭПГ, связанных с раннепалеопротерозойскими расслоенными интрузивами,
как и большинства рудных месторождений (Рундквист, 1995), был многоэтапным:
1) формирование первичных расплавов за счет деплетированной мантии,
уже обогащенной ЭПГ; 2) ассимиляция вещества из ЭПГ — и флюидсодержащих
супракрустальных комплексов в процессе перемещения этих расплавов
к поверхности; и 3) неоднократное концентрирование на магматической
и постмагматической стадиях.
Наши данные по расслоенным интрузивам Балтийского
щита, а также мировой опыт изучения подобных образований свидетельствуют
о том, что появление платиноносных рифов заранее непредсказуемо
- это зависит как от физико-механических условий среды, так и от
наличия на пути всплывания промежуточных очагов через земную кору
супракрустальных пород, содержащих Cl, S, НзО и ЭПГ. Поэтому в каждом
конкретном случае необходимо как детальное изучение интрузивов по
разрезу с опробыванием обогащенных сульфидами участков с нарушениями
кумулятивной стратиграфии, с необычными структурами и текстурами,
являющимися признаками критических зон, так и площадное изучение
последних с целью поисков ультрамафитовых трубок и жил с одной стороны,
и зон низкотемпературной переработки платиноносных пород — с другой.
Развитие магматических систем офиолитовых ассоциаций
задугового типа в известной мере моделировало развитие раннепалеопротерозойских
магматических систем. Первичное фракционирование ЭПГ имело место
еще на стадии плавления: ТЭПГ преимущественно оставались в хромититах
рестита, а ЛЭПГ уходили с расплавами. И там и здесь в разрезе магматических
камер, где происходило накопление новообразованных расплавов (расслоенные
комплексы офиолитов и крупные расслоенные интрузивы) наблюдается
постепенный переход от продуктов кристаллизации наиболее высокотемпературных
ТЭПГ-содержащих мантийных выплавок к продуктам кристаллизации магм
корово-мантийного происхождения с ЛЭПГ-минерализацией с преобладанием
Pd в сравнительно низкотемпературных дифференциатах.
БЛАГОДАРНОСТИ
Работа выполнена при финансовой поддержке Российского
фонда фундаментальных исследований (проект 98-05-64458).
Авторы выражают искреннюю признательность И.Д.
Рябчикову за ценные замечания при подготовке рукописи к печати.
СПИСОК ЛИТЕРАТУРЫ
Аникина Е.В. Платиноиды в хромовых рудах Полярного
Урала. Сыктывкар: Геопринт, 1995. С. 38.
Бортников Н.С., Лисицын А.П. Условия формирования
современных сульфидных построек в зонах спрединга задуговых бассейнов
Лау и Манук (Тихий океан) // Геология и минеральные ресурсы Мирового
океана. М.: ВНИИОкеангеология, 1995. С. 158-173.
Вагнер П.А. Месторождения платины и рудники Южной
Африки. М.-Л.: Цветметиздат, 1932. Гирнис А.В., Рябчиков И.Д. Коматииты
и высокомагнезиальные вулканиты раннего докембрия Балтийского щита.М.:
Наука,1988.
Гроховская Т Л., Клюнин С.Ф. Процессы концентрирования
платиновых металлов в расслоенном интрузиве Луккулайсваара (Северная
Карелия) // Геология и генезис месторождений платиновых металлов.
М.: Наука, 1994. С. 126-143.
Дистлер В.В., Митрофанов ГЛ., Номеров В Л. и др.
Формы нахождения металлов платиновой группы и их генезис в золоторудном
месторождении Сухой Лог (Россия) // Геология руд. месторождений.
1996. Т. 6. С.467-484.
Ерошенко В.А., Шарков Е.В. Физические особенности
магмообразования в зонах субдукции // Геохимия. 1993. №3.0362-371.
Клюнин С.Ф., Гроховская Т Л., Захаров А.А., Соловьева
Т.В. Геология и перспектвы платиноносности Олангской группы массивов
(Северная Карелия) // Геология и генезис месторождений платиновых
металлов М.: Наука, 1994. С. 111-125.
Кларк С. Справочник физических констант горны:
пород. М.: Мир, 1969.
Магматические горные породы. Ультраосновные породы.
М.: Наука, 1988. Т. 5.
Мюллер Р., Саксена С. Химическая петрология. М.
Мир,1980.
Полин Л. Общая химия. М.: Мир, 1974.
Семенов B.C., Беляцкий Б.В., Кольцов А.Б. и др.
Метасоматиты расслоенного комплекса Луккулайсваарз и связанная с
ними платинометальная минерализация (Олангская группа интрузий,
Северная Карелия) // Пе трология. 1997. Т. 5. № 2. С. 137-159.
Смирнова Т.А., Дмитренко Г.Г. Платиновая минера
лизация Главного хромитового горизонта Аганозер ского стратиформного
месторождения. Южная Каре лия//Тез. докл. VII Междунар. платинового
симпозиума. М., 1994. С. 109-110.
РундквистД.В. Глобальная металлогения // Смирновский
сборник-95. М.: Изд-во МГУ, 1995. С. 92-123.
Рябчиков И.Д. Термодинамика флюидной фазы гранитных
магм. М.: Наука, 1975.
Рябчиков И.Д. Геохимическая эволюция мантии Земли.
М.: Наука, 1988.
Френкель М.Я., Ярошевский А.А., Арискин А.А. и
др. Динамика внутрикамерной дифференциации базитовых магм. М.: Наука,
1988.
Шарков Е.В. Петрология расслоенных интрузий. Л.:
Наука, 1980.
Шарков Е.В., Леднева Г.В. Петрология тел палитиноносных
микрогабброидов из расслоенного интрузива Луккулайсваара (Северная
Карелия) // Зап. ВМО.» 1993. №4. С. 35-55.
Шарков Е.В., Смолъкин В.Ф., Красивская И.С. Раннепротерозойская
магматическая провинция высокомагнезиальных бонинитоподобных пород
в восточной части Балтийского щита // Петрология. 1997i. Т. 5. №
5, С.503-522.
Шарков Е.В., Рукие М., Ащаре X. и др. Благородные
металлы в офиолитовом комплексе Бассит (Сирия): содержания и перспективы
// Геология руд. месторождений. 1997г. № 5. С. 430-441.
Alapieti T.T., Filen B.A., Lahtinen J.J., Lavrov
MM., Smolkin V.F., Voitsekhovsky S.N. Early Proterozoic layered
intrusions in the north-eastern part of the Fennoscandian-Shield
// Mineralogy and Petrology, 1990. V. 42. P. 1-22.
Amelin Yu.V., Semenov V.S. Nd and Sr isotopic geochemistry
of mafic layered intrusions in the Eastern Baltic Shield: implications
for the evolution of Paleoproterozoic continental mafic magmas //
Contrib. Miner. Petrol. 1996. V. 124. P. 255-272.
Amelin Yu.V., Heaman L.M., Semenov V.S. U-Pb geochronology
of layered intrusions in the Eastern Baltic Shield: implications
for the timing and duration of Paleoproterozoic continentral firting
//Precambian Res. 1995. V. 75. P. 31-46.
Balabonin N.L., Korchagin A.U., Latypov R.M., Subbotin
V.V. Fedorovo-Pansky intrusion // 7th Intern. Platinum Symposium,
Guide to the pre-symposium field trip. Kola Belt of layered intrusions.
Apatity, KSC, 1994. P. 9-41.
oudreau A.E., Matter E.A., McCallum I.S. Halogen
geochemistry of the Stillwater and Bushveld complexes: evidence
for transport of platinum group elements by Cl-rich fluids // J.
Petrol. 1986. V. 27. № 4. P. 967-986. CarrH.W., Groves D.I., Cawthorne
R.G. The importance of synmagmatic deformation of Merensky Reef
potholes in the Bushveld complex//Econ. Geol. 1994. V. 89. № 6.
P. 1398-1410.
Gold D. P., Deines P., Touysinhthiponexay Y. et
al. The nature and significance of igneous "pothole" structures
in some layered intrusive complexes // Canad. Mineralogist. 1985.
V. 23. №2. P. 303-318.
Fleet M.E., Wu T.W. Volatile transport of precious
metals at 1000°C: Speciation, fractionation, and effect of base-metal
sulfide source//Geochim. Et Cosmochim. Acta. 1995. V. 59. № 3. P.
487-495.
Grokhovskaya T.L., Distler V.V., Klyunin S.F. etal.
Low-sul-fide platinum-group mineralization of the Lukkulaisvaara
pluton, Northern Karelia // Int. Geol. Rev. 1992. V. 34. P. 503-520.
Grokhovskaya T.L., Sharkov E.V., Snyder G.A. et
al. Petrology, geochemistry and PGE mineralization in the early
Proterozoic Monchegorsk Pluton, Kola Peninsula, Russia // Proc.
Intern. Field Conference and Symposium "Petrology and metal
logeny of volcanic and intrusive rocks of the Mid-continent rift
system". Duluth, Minnesota, 1995. P. 59-60. von Gruenewaldt
G., Harmer R.E. 11 Proterozoic Crustal Evolution. Amsterdam: Elsevier,
1992. P. 181-213. Huppert H.E., Sparks R.S.J. Cooling and contamination
of mafic and ultramafic magmas during ascent thorugh continental
crust//Earth and Planet. Sci. Lett. 1985. V. 74. № 4. P. 371-386.
Iljina M. The Portimo lyaered igneous complex //
Acta Univ-er. Ouluensis. Sci. Rerum. Naturlium. 1994. Ser. A. №
258. Lambert D.D., Walker R.J., Morgan J.W. et al. Re-Os and Sm-Nd
isotope geochemistry of the Stillwater Complex, Montana: Implications
for the petrogenesis of the J-M Reef// J. Petrology. 1995. V. 35.
№ 6. P. 1717-1753. Lee С., Butcher A.R. Cyclicity of the Sr isotope
stratigraphy through the Merensky and Bastard reef units, Atok section,
eastern Bushveld complex //Econ. Geol. 1990. V. 85. № 4. P. 877-881.
Lord R. A., Prichard H.M., Neary C.R. Magmatic
platinum-group element concentrations and hydrothermal upgrading
in Shetland ophiolite complex // Trans. Inst. Mining and Metallurgy.
1994. Sect. B. V. 103. P. B87-B106.
Mathez E.A., Agrinier P., Hutchinson R. Hydrogen
isotope composition of the Merensky Reef and related rocks, Atok
Section, Bushveld Complex//Econ. Geol. 1994. V. 89. № 4. P.791-802.
M etcher, F., Stumpfl E., Distler V. Chromite deposits
of the Kemprisai massfi, southern Urals, Kazakhstan // Trans. Inst.
Mining and Metallurgy. 1994. Sect. B. V. 103. P. В 107-120. NaldrettAJ.,
Carrier on G., von Gruenewaldt G., Sharp e M.R. The formation of
stratiform PGE deposits in layered intrusions // Origin of igneous
layering. Dordrecht.: D. Reidel, 1987. P.313-397.
Fastens J.D., Harris T.N., Sassani D.C. Interactions
of mixed volatile-bearing fluids in rocks of the southwestern footwall
of the Duluth Complex, Minnesota: Evidence from aqueous fluid inclusions
//Amer. J. of Science. 1995. V. 295. №2. P.125-172.
Prichard H.M., Lord R.A. Platinum and palladium
in the Troodos ophiolite complex, Cyprus // Can. Mineralogist. 1990.
V. 28. Pt. 3. P. 607-618.
Prichard H.V., Tarkian M. Platinum and palladium
minerals from two PGE-rich localities in the Shetland ophiolite
complex // Canad. Mineralogist. 1988. V. 26. Pt. 4. P. 979-990.
Scoon R.N., Teigler B. Platinum-group element mineralization in
the Critical Zone of the Western Bushveld Complex. 1. Sulfide-Poor
Chromitites Below the UG-2 // Econ. Geol. 1994. V. 89. № 5. P. 1094-1121.
Schiano P., Clocchiatti R., Shimizu N., Maury R.C.,
Jo-chumK.P., Hofmann A.W. Hydrous, silica-rich melts in the sub-arc
mantle and their relationship with erupted arc lavas // Nature.
1995. V. 377. № 6550. P. 591-594. Schiffries CM. The petrogenesis
of a platiniferous dunite pipe in the Bushveld complex: infiltration
metasomatism by chloride solution //Econ. Geol. 1982. V.77. № 6.
P. 1439-1453.
Sharkov E.V., Bogatikov O.A., Grokhovskaya T.L.
et al. Petrology and Ni-Cu-Cr-PGE mineralization of the largest
mafic pluton in Europe: the early Proterozoic Burakovsky layered
intrusion, Karelia, Russia//Intern. Geol. Rev. 1995. V. 37. P.509-525.
Todd S.G., Keith D.W., Le Roy L.M. et al. The J-M
Platinum—Palladium Reef of the Stillwater Complex, Montana: Stratigraphy
and Petrology. // Econ. Geol. 1982. V. 77. p.1454-1480.
Zhou M.F. PGE distribution in 2.7-Ga layered komatiite
flows from the Belingwe greenstone belt, Zimbabwe // Chem. Geol.
1994. V.118. № 1-4. P. 155-172.
|
|